• Na bota do Bolsonaro
  • Podcast
  • Notícias
    • Agronegócio
    • Cidades
    • Economia
    • Editorial
    • Educação
    • Esporte
    • Mundo
    • Polícia
    • Política
    • Tecnologia
  • Contato

Mês: Outubro 2025

RJ atualiza número de mortes em operação: 121
Brasil

RJ atualiza número de mortes em operação: 121

Thâmara
Outubro 30
Comments (0)
Read More
Batida entre Gol e caminhão deixa um morto entre VG e Jangada
Polícia

Batida entre Gol e caminhão deixa um morto entre VG e Jangada

Thâmara
Outubro 29
Comments (0)
Read More
Marido de vereadora paga R$ 15 mil e é solto após fogo em cabaré em MT
Polícia

Marido de vereadora paga R$ 15 mil e é solto após fogo em cabaré em MT

Thâmara
Outubro 29
Comments (0)
Read More
Homem invade casa da ex-namorada e agride mulher durante a madrugada em Rondonópolis
Polícia

Homem invade casa da ex-namorada e agride mulher durante a madrugada em Rondonópolis

Thâmara
Outubro 29
Comments (0)
Read More
Mulher é agredida por convivente; bebê de 11 meses também ficou ferido
Polícia

Mulher é agredida por convivente; bebê de 11 meses também ficou ferido

Thâmara
Outubro 29
Comments (0)
Read More
Maníaco usa faca para fazer “jogo da velha” no corpo da esposa em MT
Polícia

Maníaco usa faca para fazer “jogo da velha” no corpo da esposa em MT

Thâmara
Outubro 29
Comments (0)
Read More
Ex-marido invade casa e mata mulher a facadas em MT; filha é ferida
Polícia

Ex-marido invade casa e mata mulher a facadas em MT; filha é ferida

Thâmara
Outubro 29
Comments (0)
Read More
Discussão entre deputados do Psol e do PL marca sessão sobre operação no Rio
Política

Discussão entre deputados do Psol e do PL marca sessão sobre operação no Rio

Thâmara
Outubro 29
Comments (0)
Read More
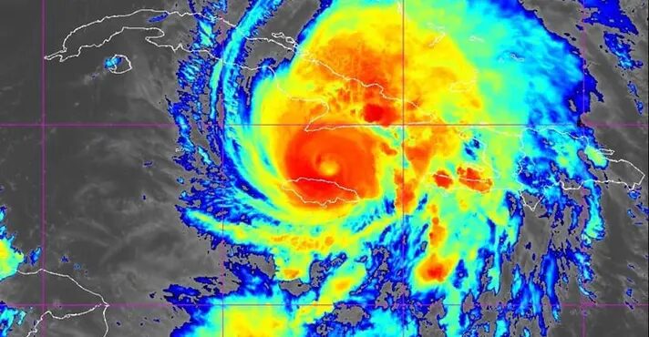
Jamaica decreta estado de calamidade pública depois de furacão Melissa
Mundo

Jamaica decreta estado de calamidade pública depois de furacão Melissa

Thâmara
Outubro 29
Comments (0)
Read More
ONU repudia operação contra o Comando Vermelho no Rio: ‘Horrorizada’
Brasil

ONU repudia operação contra o Comando Vermelho no Rio: ‘Horrorizada’

Thâmara
Outubro 29
Comments (0)
Read More

  • 1
  • …
  • 5
  • 6
  • 7
  • …
  • 47

Categorias

  • Agronegócio
  • Brasil
  • Cidades
  • Economia
  • Editorial
  • Educação
  • Esporte
  • Mídias
  • Mundo
  • Polícia
  • Política
  • saúde
  • Sem Categoria
  • Tecnologia

Arquivo

  • Abril 2026
  • Março 2026
  • Fevereiro 2026
  • Janeiro 2026
  • Dezembro 2025
  • Novembro 2025
  • Outubro 2025
  • Setembro 2025
  • Agosto 2025
  • Julho 2025
  • Junho 2025
  • Maio 2025
  • Abril 2025
  • Março 2025
  • Fevereiro 2025
  • Janeiro 2025
  • Dezembro 2024
  • Novembro 2024
  • Outubro 2024
  • Setembro 2024
  • Agosto 2024
  • Julho 2024
  • Junho 2024
  • Maio 2024
  • Abril 2024
  • Março 2024
  • Fevereiro 2024
  • Janeiro 2024
  • Dezembro 2023
  • Novembro 2023
  • Outubro 2023
  • Setembro 2023
  • Agosto 2023

Ethos@2023- Todos os direitos reservados